Contact Us: 705-927-2774 | Email


LOADING

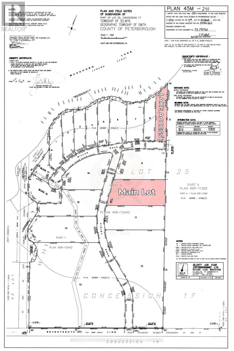
3037 Finley Road Selwyn, Ontario K0L 2H0

Waterfront On Lake Acreage

$399,900

Welcome to the sophisticated Buckhorn Lake Waterfront development known as Kawartha Estates. Build your dream home on this 2.45 acre building lot in the peaceful waterfront community with deeded access to Buckhorn Lake. This property is in an elegant newer development surrounded with stunning tall trees. Situated on a municipal paved road with services available at the lot line and underground hydro installed. Near the town of Buckhorn and within 15 minutes of Bridgenorth and Lakefield. (HST is included in price). (id:61423)

Property Details

MLS® Number X12972392
Property Type Vacant Land
Community Name Selwyn
Community Features Fishing, School Bus
Easement Easement, Sub Division Covenants
Features Cul-de-sac, Wooded Area, Flat Site, Dry, Level
View Type View, Lake View, View Of Water
Water Front Name Buckhorn Lake
Water Front Type Waterfront On Lake

Building

Land

Access Type Public Road, Private Docking, Year-round Access
Acreage Yes
Size Depth 505 Ft
Size Frontage 202 Ft
Size Irregular 202 X 505 Ft
Size Total Text 202 X 505 Ft|2 - 4.99 Acres
Zoning Description Res

Utilities

Cable Available
Electricity Installed
Electricity Available At Lot Line
Telephone Nearby

https://www.realtor.ca/real-estate/29574586/3037-finley-road-selwyn-selwyn

Interested?

Contact us for more information


Generating Captcha

Your Favourites

 

No Favourites Found