Contact Us: 705-927-2774 | Email


LOADING

N/a Keating Road N Havelock-Belmont-Methuen (Belmont-Methuen), Ontario K0L 1Z0

0 - 699 sqft
Waterfront On Creek Acreage

$179,900

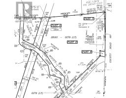
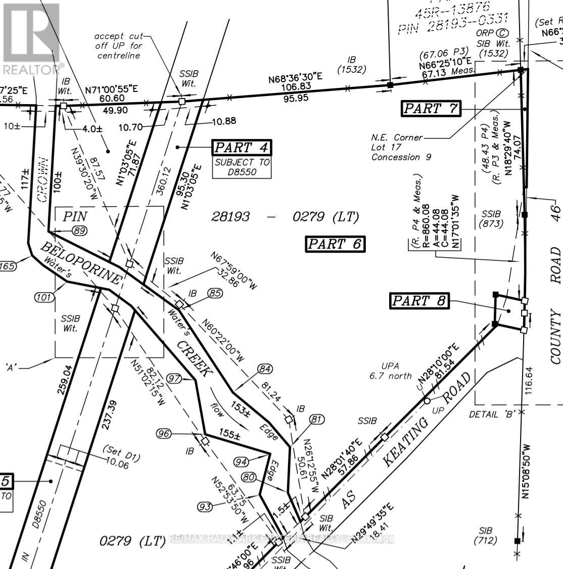
BELOPORINE CREEK | Tucked away at the north end of Keating Road with easy access just off of County Road 46, this newly created 8.49-acre parcel offers a rare opportunity to build your dream home in a peaceful, nature-rich setting. The property is thoughtfully cleared for a building site, with setbacks already marked to help simplify the planning process. Almost 502' bordering the tranquil Beloporine Creek, just east of Round Lake, offering a true outdoor lifestyle-enjoy excellent fishing, kayaking at various times of the year, and in good winters, ice skating and snowshoeing right from your own property. Two municipal boat launches are nearby (Anderson Road and Round Lake Road), and the property is located on a school bus route, adding everyday convenience to its rural charm. Surrounded by natural beauty and abundant wildlife, this property provides privacy while still being easily accessible-less than 10 minutes north of Havelock and approximately 30 minutes east of Peterborough. A perfect blend of serenity, accessibility, and development potential. (id:61423)

Property Details

MLS® Number X12750004
Property Type Vacant Land
Community Name Belmont-Methuen
Easement Easement, None
Features Wooded Area, Irregular Lot Size, Partially Cleared, Waterway, Level
View Type Direct Water View
Water Front Name Beloporine Creek
Water Front Type Waterfront On Creek

Building

Size Interior 0 - 699 Sqft

Parking

No Garage

Land

Access Type Year-round Access
Acreage Yes
Size Depth 769 Ft ,6 In
Size Frontage 457 Ft
Size Irregular 457 X 769.5 Ft
Size Total Text 457 X 769.5 Ft|5 - 9.99 Acres
Surface Water River/stream
Zoning Description Sd 68 Zone (rural)

Utilities

Electricity Available
Electricity Available Nearby

https://www.realtor.ca/real-estate/29314121/na-keating-road-n-havelock-belmont-methuen-belmont-methuen-belmont-methuen

Interested?

Contact us for more information


Generating Captcha

Your Favourites

 

No Favourites Found